Descubre lo que tu piel realmente necesita
(antes de tratarla)
Diagnóstico facial avanzado con VISIA® + criterio médico experto. La base científica para resultados naturales.
¿Qué es VISIA® y por qué marca la diferencia real?
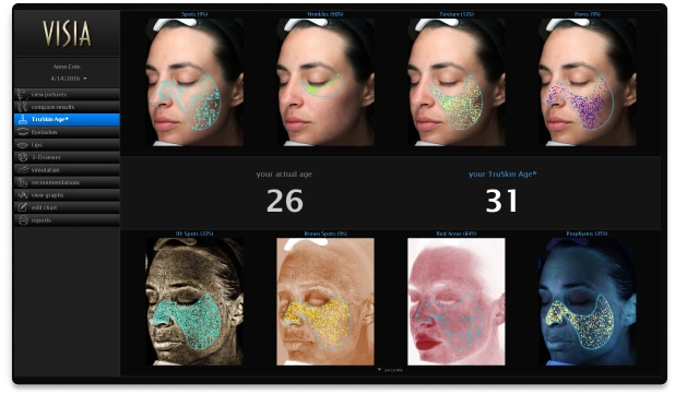
VISIA® es una tecnología de diagnóstico facial de alta precisión que analiza tu piel mucho más allá de lo visible. Mediante imágenes en alta resolución y análisis 3D, obtenemos datos objetivos, medibles y comparables.
"No son suposiciones. Es información clínica real para tomar mejores decisiones sobre su salud dérmica."
Con VISIA® analizamos con exactitud:
- Líneas finas y arrugas en formación
- Manchas superficiales y melanina profunda
- Poros y textura real de la epidermis
- Rojeces y áreas vasculares sensibles
- Daño solar acumulado (UV spots)
- Edad cutánea real frente a edad cronológica
Planificación y proyección de resultados superior.
Valoraciones 100% Personalizadas
Porque su piel no es genérica, su tratamiento tampoco debe serlo.
Diagnóstico Honesto
Detectamos necesidades reales, no modas. Definimos qué tratar ahora y qué puede esperar.
Diseño de Plan Médico
Un esquema adaptado a su edad, estructura facial y objetivos de salud.
Sin sobretratamientos • Sin promesas irreales • Sin decisiones a ciegas
Tecnología avanzada + criterio médico experto
La tecnología por sí sola no transforma la piel. La diferencia está en quién la interpreta. En el centro de la Dra. Luisa Obregón, VISIA® se integra dentro de una visión médica basada en el rejuvenecimiento natural y el soporte estructural.
- Rejuvenecimiento progresivo
- Soporte estructural
- Resultados armónicos
- Prevención inteligente
Inicie el cuidado de su piel con datos reales
Este es el primer paso correcto para un rejuvenecimiento con respaldo médico y tecnología de primer nivel.
Agendar cita de valoración ahora
Descubre lo que tu piel realmente necesita (antes de tratarla)
Diagnóstico facial avanzado con VISIA® + criterio médico experto
👉 Agenda tu valoración personalizada con VISIA® ahora
¿Qué es VISIA® y por qué marca la diferencia real?
VISIA® es una tecnología médica de diagnóstico facial de alta precisión que analiza tu piel mucho más allá de lo que se ve a simple vista. Mediante imágenes en alta resolución y análisis 3D, obtenemos datos objetivos, medibles y comparables en el tiempo.
No son suposiciones.
Es información clínica real para tomar mejores decisiones.
Con VISIA® analizamos con exactitud:
- Líneas finas y arrugas, visibles y en formación
- Manchas superficiales y profundas (melanina subyacente que aún no ves)
- Poros y textura real de la piel
- Rojeces y áreas vasculares
- Daño solar acumulado (UV spots)
- Estado global de la piel y edad cutánea real
- Tipo de piel y mapa facial personalizado
👉 Esto nos permite diagnosticar, planificar y proyectar resultados con un nivel de precisión médica superior.
Valoraciones 100% personalizadas (porque tu piel no es genérica)
Aquí no existen valoraciones estándar ni tratamientos “para todos”.
Durante tu cita de valoración médica personalizada, una médico experta en rejuvenecimiento facial:
- ✔ Analiza tu piel con VISIA®
- ✔ Detecta necesidades reales, no modas
- ✔ Define prioridades correctas (qué tratar ahora y qué puede esperar)
- ✔ Diseña un plan médico-estético adaptado a tu edad, estructura facial y objetivos
- ✔ Te explica de forma clara, honesta y profesional qué necesitas… y qué no
📌 Sin sobretratamientos.
📌 Sin promesas irreales.
📌 Sin decisiones a ciegas.
Tecnología avanzada + criterio médico experto = resultados naturales
La tecnología por sí sola no transforma la piel. La diferencia está en quién la interpreta y cómo se aplica.
En el centro de la Dra. Luisa Obregón, VISIA® se integra dentro de una visión médica basada en:
- Rejuvenecimiento natural y progresivo
- Soporte estructural de la piel
- Resultados sutiles, armónicos y bien indicados
- Prevención inteligente y corrección precisa del envejecimiento
Aquí el objetivo no es “verte diferente”,
es verte mejor, más fresca y más saludable, respetando tu identidad facial.
¿Para quién es esta valoración?
- Si quieres un diagnóstico real, no una opinión superficial
- Si buscas resultados seguros y bien indicados
- Si valoras la medicina estética responsable y personalizada
- Si quieres invertir en tu piel con criterio, no por impulso
Agenda tu cita de valoración hoy
Este es el primer paso correcto para cuidar y rejuvenecer tu piel con respaldo médico y tecnología de primer nivel.
👉 Agenda tu valoración personalizada con VISIA® ahora



